DISPLASIA DE CADERA
La displasia de cadera es una enfermedad del desarrollo muy común en perros, especialmente de tamaño grande y gigante, aunque también puede aparecer en pacientes de pequeño tamaño y en gatos.
Se caracteriza por una malformación de la articulación coxofemoral, ocasionada por un exceso de laxitud articular durante el crecimiento, provocando qué el fémur no encaje correctamente en el ácetabulo de la pelvis. Los tejidos blandos (ligamentos, cápsula articular y músculos) que envuelven la cadera no estabilizan adecuadamente las estructuras óseas articulares, lo que provoca que esta articulación se desgaste de una forma anormal y rápida, pudiendo resultar en la aparición de dolor, cojera, y dificultad progresiva para moverse, especialmente cuando el paciente envejece.


El origen de esta patología es multifactorial, siendo una combinación de factores los que motivan su aparición. Entre ellos el componente genético y el ambiental son los más importantes.
Los perros de razas grandes y gigantes tienen mayor riesgo de desarrollar esta condición debido a su rápido crecimiento y peso corporal. Una alimentación inadecuada, el exceso de ejercicio a edades tempranas, el sobrepeso o un desarrollo muscular deficiente, son otros factores que pueden predisponer a la enfermedad.
Los signos clínicos pueden ser variables, desde pacientes que pueden ser asintomáticos hasta diferentes intensidades dependiendo del estadío de enfermedad. De forma previa a la aparición de los síntomas puede ser llamativo un crecimiento muy rápido del individuo. En las primeras fases de enfermedad el perro puede mostrarse inactivo, con dificultad para incorporarse, inestabilidad de los miembros pelvianos durante la marcha, e incluso con dolor de intensidad variable. En la mayoría de ocasiones los primeros signos clínicos aparecen entre los 6 y los 12 meses de edad.
El dolor es causado inicialmente por el estrés ocasionado en los mecanismos estabilizadores de la cadera como son la cápsula articular, los ligamentos y músculos. Posteriormente el estímulo doloroso se incrementa a consecuencia de las microfracturas originadas en las superficies óseas de la cabeza femoral y el acetábulo al impactar entre sí de manera anormal. La afectación tanto del componente de tejido blando como óseo dará lugar a la aparición del fenomeno de osteoartritis (osteoartrosis futura).
Signos clínicos más comunes:
- Rigidez
- Intolerancia al ejercicio
- Dificultad para levantarse, sentarse o acostarse
- Dificultad para subir escaleras y/o al coche
- Alteraciones de la marcha con exceso de movilidad a nivel de las caderas
- Cojera de uno o ambos miembros pelvianos
- Molestias o dolor al acariciar o tocar la región de la pelvis
- Dolor o alteraciones del comportamiento
Los hallazgos más comunes en el examen ortopédico suelen ser cojera de diferente intensidad, hipotrofia muscular generalizada en los miembros afectados, dificultad para incorporarse, signos de laxitud articular y dolor durante la manipulación de las caderas.
El diagnóstico de la displasia de cadera generalmente se alcanza a través de un completo examen ortopédico y con la realización de un estudio radiológico de las caderas bajo sedación o anestesia general. En este último los hallazgos pueden ser variables, desde incongruencia articular, hasta presencia de signos de degeneración articular (artrosis) como puede ser la deformidad coxofemoral y la aparición de osteofitosis (depósitos anormales de hueso) en la articulación.


Tratamiento
El tratamiento dependerá de la edad del paciente y de la gravedad de cada caso. Podemos diferenciar dos opciones generales de tratamiento, como son la cirugía y el manejo conservador. No todos los pacientes necesitarán de una cirugía, pero en ocasiones será la única alternativa.
A continuación describimos las diferentes alternativas:
- Manejo conservador:
Se utiliza en casos leves como tratamiento único, o en casos donde por algún motivo no sea factible plantear un tratamiento quirúrgico posible. Aún en casos manejados de forma quirúrgica, el manejo conservador es interesante plantearlo de manera asociada a la cirugía, al menos parcialmente. Consiste en:
- Analgésicos: la administración de diferentes sustancias, como algunos antiinflamatorios y otros fármacos o principios activos con capacidad analgésica, pueden ayudar a rescatar al paciente de una crisis de inflamación y dolor (artritis).
- Control del peso: es fundamental mantener al paciente en su peso óptimo, ya que el sobrepeso supondrá un estrés añadido para las articulaciones afectadas. En caso de ser necesario se establecerá una dieta de adelgazamiento.
- Fisioterapia y rehabilitación: la terapia física puede ayudar a fortalecer los músculos que envuelven la articulación de la cadera, hecho que favorecerá la movilidad y aliviará el dolor. En este sentido múltiples actividades como ejercicios específicos, masajes, hidroterapia, TENS o láser entre otras pueden resultar efectivos.
- Ejercicio moderado: será conveniente mantener un nivel de actividad medio, evitando ejercicios de alto impacto o intensidad.
- Condroprotectores: ciertos suplementos nutricionales pueden contribuir a conservar en buen estado el cartílago y estructuras articulares.
- Tratamientos quirúrgicos:
En este sentido existen muchas opciones, siendo interesantes unas u otras dependiendo de la edad, gravedad de los síntomas y predisposición de cada familia. Enumeramos a continuación las técnicas empleadas:
- Sinfisiodesis púbica juvenil: es un procedimiento que se puede realizar en edades tempranas (hasta las 20 semanas de vida) en pacientes con presencia de laxitud articular detectada tanto en la exploración ortopédica como en un estudio radiológico específico de distracción (PennHip). Consiste en provocar la fusión prematura de la sínfisis de crecimiento púbica con el objetivo de modificar el crecimiento de la pelvis generando una mayor cobertura acetabular de las cabezas femorales, lo que permite mejorar la estabilidad articular y reducir la laxitud presente. La forma de conseguir la fusión de la sínfisis es empleando la electrocoagulación o colocando implantes quirúrgicos. Como antes de los 5 meses de edad normalmente no han aparecido signos clínicos y la indicación de esta técnica es a partir de la evaluación de la laxitud articular, puede considerarse una técnica quirúrgica profiláctica.
- Triple / Doble osteotomía pélvica (TOP / DOP): se trata de un procedimiento que se puede plantear en pacientes en crecimiento de hasta 10 meses de edad aproximadamente dependiendo de la raza o tamaño final estimado del perro. El objetivo de la cirugía es mejorar la congruencia y estabilidad de la articulación coxofemoral. Consiste en la realización de tres o dos cortes (osteotomías) controlados de la pelvis, para estabilizar mediante una placa especial el fragmento acetabular en una nueva posición donde conseguir una mayor cobertura de la cabeza femoral. Es una técnica que solo se puede utilizar en pacientes con laxitud articular pero sin remodelación articular ni signos de osteoartrosis.
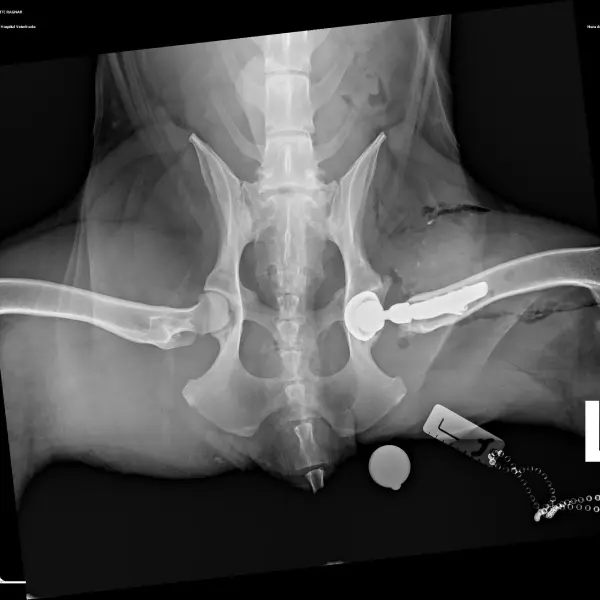
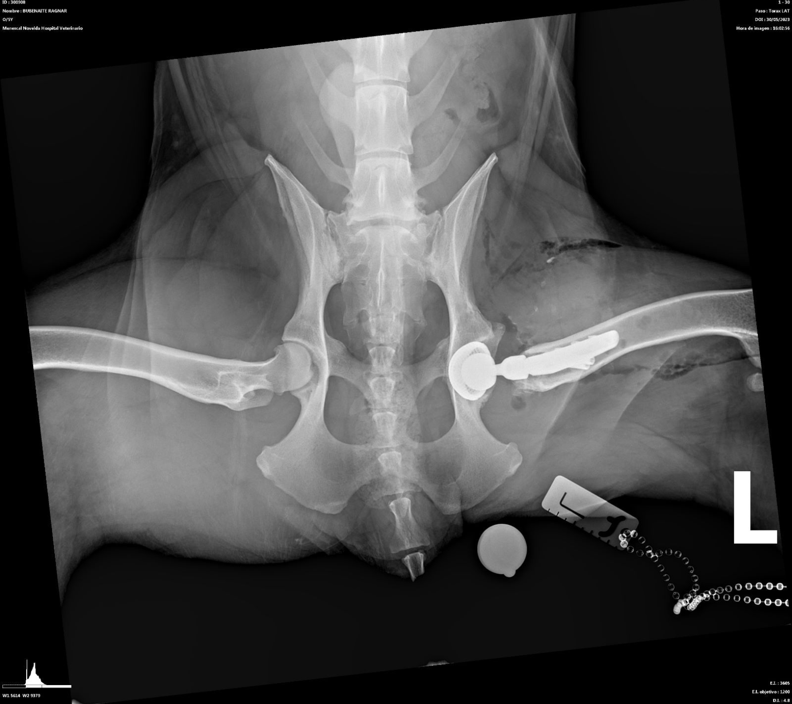
- Prótesis de cadera: es una técnica que generalmente se indica en pacientes adultos que padecen una enfermedad degenerativa articular (artrosis) avanzada. Consiste en la sustitución de los componentes acetabular y femoral afectados e involucrados en la articulación, por unos sintéticos, que permitirán una movilidad apropiada y sin dolor. Aunque es muy posible que un paciente necesite una prótesis en ambas caderas, nunca se realizarán de forma simultánea, espaciando las mismas el tiempo necesario para asegurar la recuperación de la primera. La mayoría de perros se encuentran bastante confortables pocos días después de la cirugía y vuelven a alcanzar niveles de actividad elevados unos meses más tarde.
- Artroplastia de cadera (escisión de cabeza y cuello femoral) se trata, igual que la prótesis de cadera, de una cirugía de rescate para pacientes con un grado de degeneración articular avanzado y su objetivo es eliminar el dolor provocado por el roce anormal de las estructuras óseas involucradas en la articulación coxofemoral. Consiste en la escisión quirúrgica de la cabeza y el cuello femoral, de modo que se transforma la articulación original en una pseudoarticulación plana, que facilitará el movimiento sin dolor, aunque con ciertas limitaciones en relación a la cadera original o a la prótesis de cadera.









